جراحة
Dr. Mahmood Abed Aljumaily LEC. 2Oct. 9 , 2013 عدد الاوراق ( 5 )BONES AND JOINTS INFECTIONS ( 2 )
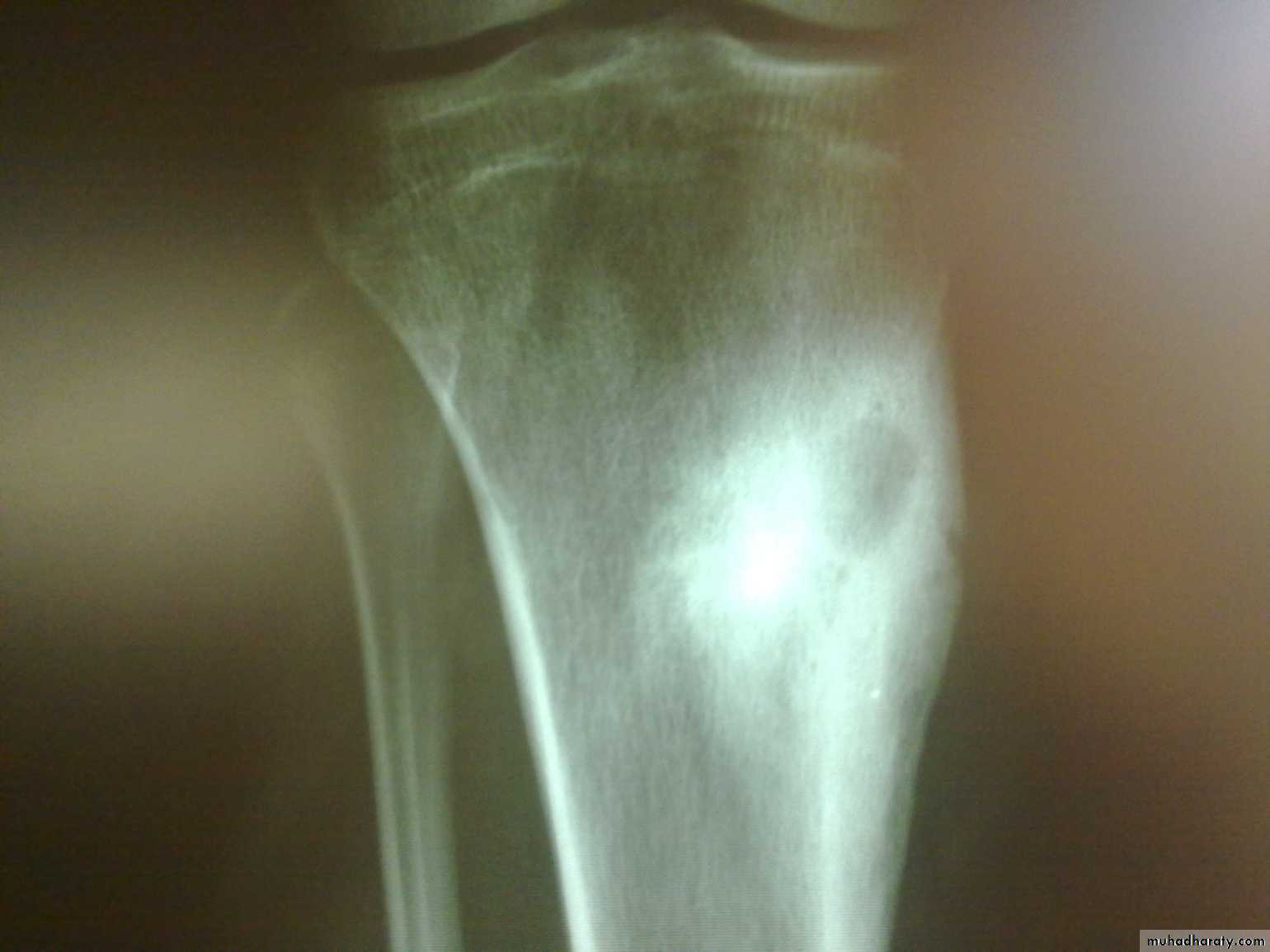
Subacute haematogenous osteomyelitis Brodie's abscesses
When microorganism virulence is low or the patient more resistant or both Subacute haematogenous osteomyelitis occur. The common microorganism is staph. aureus. Commonly affect distal femur or proximal tibia or distal tibia.
There is a well define cavity in metaphysis of long bone or in flat bone. The cavity contain acute and chronic inflammatory cell infiltration with fluid. Patient usually child had pain, limping, swelling and tenderness, there is no fever, WBCs is normal and ESR elevated.
X-ray show well- define, rounded or oval cavity surrounded by sclerosis( Brodies abscess)
Differential diagnosis is osteoid ostema and malignant bone tumors.Biopsy is needed to confirm the diagnosis.
If diagnosis clear patient treated by rest and flucloxacillin and fusidic acid for 8 weeks
If there is doubt in diagnosis, biopsy and debridement done with flucloxacillin and fusidic acid for 8 weeks
Garre’s seclerosing osteomyelitis
This type characterized by marked sclerosis and cortical thickening in diaphysis. Patient usually young complain of pain and swelling. X-ray show increased bone density. It should differentiated from bone tumors. Treatment is surgical resection and antibioticsPost traumatic osteomyelitis
It followed open fractures. It is the commonest cause of chronic osteomyelitis. Staph. aureus is the usual pathogen , many other type microorganism or mixed infection may occur.Patients develop pain, swelling, fever, wound inflamed, WBCs increased, ESR increased.
Early effective treatment of open fractures is the best to prevent this type of infection by ( debridement, antibiotics, splintage, leave wound open, good wound care and external fixations.Postoperative osteomyelitis
Osteomyelitis may follows any type of bone operation, it occur in about 1- 5% of bone surgery.
Organisms is mixture of pathogens ( staph, protus, pseudomonas ----
Microorganism introduce from atmosphere, instrument, patients, surgeon or haemetogenous.
Local factors favor infection is soft tissue damage, hematoma, and bone death.
It may occur early, intermediate or late after surgery.
Prevention is the most important.
Treatment include supportive treatment, proper antibiotic , debridement and stabilization of bone.
If fixation stable , it is preserved until fracture healed,
If fixation unstable , it is removed and replaced by external fixation.
Chronic osteomyelitis
it may follows acute osteomyelitis, open fractures, and postoperative infectionsIt may caused by staph aureus, strept, proteus, pseudomonas, staph epidermidis or mixed infection.
There is segments of dead bones, sclerosis, cavities and chronic inflammatory infiltration.
Clinically either presented with:
1- Flare-up of infection( pain, fever, swelling and redness) acute on chronic.2- Discharging sinus
Investigations include culture and sensitivity from infected tissues in depth of sinus , x-ray and other imaging studied.
Treatment include supportive treatment, proper antibiotic , surgical drainage of abscesses and debridement, filling cavities by viable tissues and stabilization of bone.
Acute suppurative arthritisit is acute pyogenic infection of joints .
Microorganism may reach joint by:1- direct introduction. ( wound, pinprick, injection, arthroscopy, or following surgery)
2- direct spread from nearby infection especially osteomyelitis.
3- indirect spread via blood (haematogenous) from far focus of infection
Causal organism in Acute suppurative arthritis
The usual causative organism is staphylococcus.
In children 1-4 years haemophilus influenzae may be a cause.
Streptococcus, e.coli, proteus occasionally.
Gonococcus may be a cause in young adults.
Pathology of Acute suppurative arthritis
1- Acute inflammatory reaction (synovitis) with serious or seropurulent exudate.
2- Arthritis: Articular cartilage is eroded and destroyed by the effect of bacterial and cellular enzymes.
3- if the infection untreated it will spread to bone and soft tissues to form abscesses and sinuses. Joint may end by bony ankylosis and deformity.
Depending on stage of treatment, Joint may end by complete resolution when treated early, partial loss of articular surface and joint fibrosis, bony ankylosis after complete damage to articular surfaces, or permanent deformity to joint and limb.
Clinical features of Acute suppurative arthritisthe clinical features differ according to the age of the patients
1- in children: acute pain in single large joint, reluctant to move the limb ( pseudo paralysis), fever, the child is ill, tachycardia, overlying skin is hot, swelling and red. All movements are restricted.
2- in new born infants: septicemia is more common , the baby irritable and refuses feeding reluctant to move the limb ( pseudo paralysis). There is rapid pulse and sometimes fever. It may complicated early by osteomyelitis.
3- in adults: pain and swelling in affected joints. There is warmth and marked tenderness and movement restricted.
In Rheumatoid Arthritis, especially after injection of steroid the infection may be silent.
Imaging of Acute suppurative arthritis
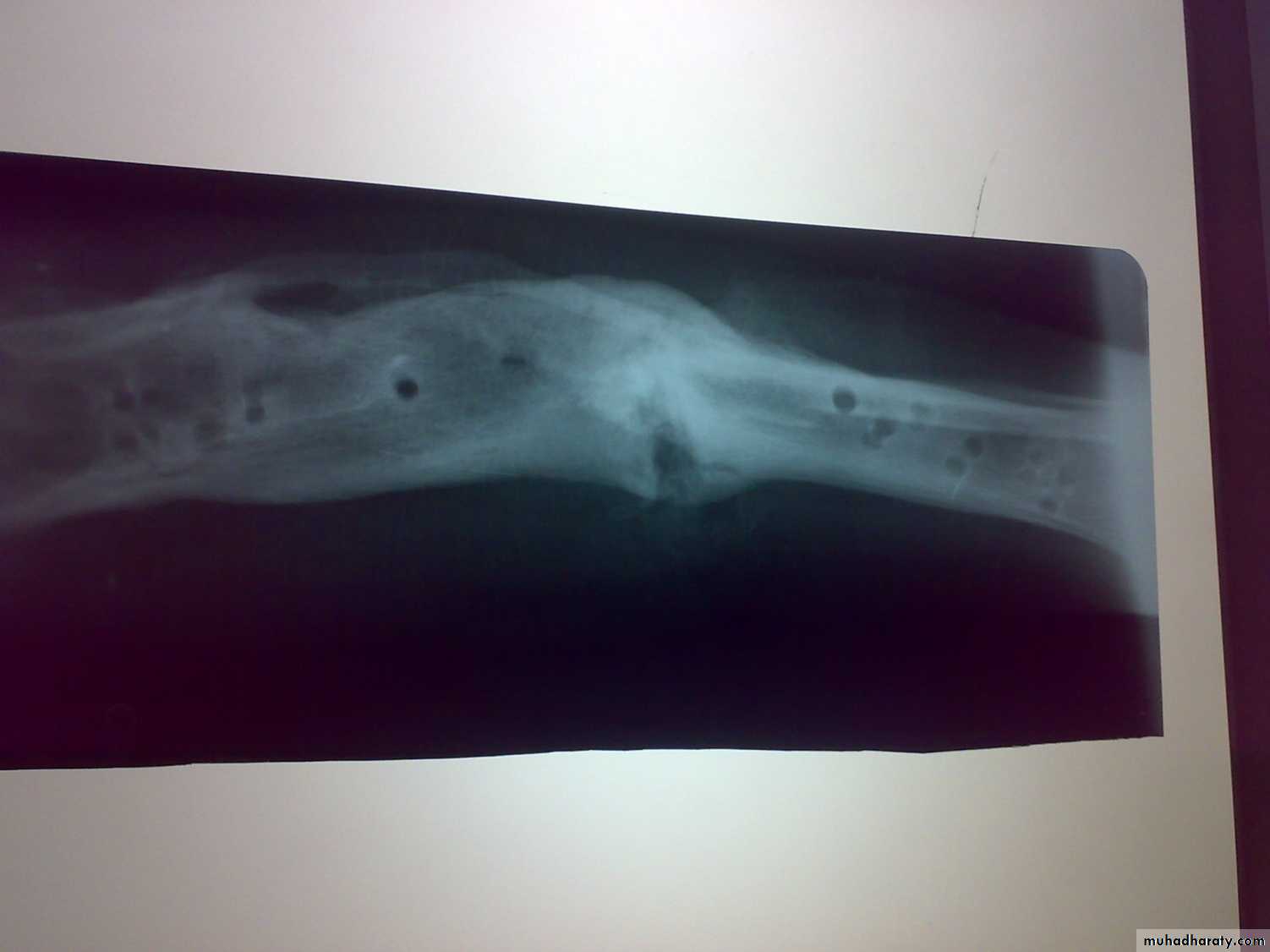
1- Ultrasonography, for joint effusion is echo free and septic arthritis are positively echogenic.2- X-ray examination. ( soft tissue swelling, widening joint space, Subluxation, gas in joint, or narrowing and irregularity of the joint space in late features.
3- MRI and radionuclide imaging in difficult cases.
Investigation of Acute suppurative arthritis
ESR, WBCs, CRP elevated.
Aspirate the joint and examine fluid directly, chemically, bacteriological and for cultures and sensitivity.
Differential diagnosis of Acute suppurative arthritis
1- Acute osteomyelitis.
2- Trauma ( traumatic synovitis, haemoarthrosis) history of trauma and aspiration used.
3- Irritable joint (US of hip useful).
4- Haemophilic bleed.
5- Rheumatic disorders.
6- Sickle cell disease, and Gaucher’s disease.
7-Gout and pseudogout in adults.
Treatment of Acute suppurative arthritisthe first priority is to aspirate the joint and examine the fluid
1- general supportive care.( analgesia and fluid)
2- splintage (rest, skin traction or cast).
3- antibiotics. Start immediately on clinical base. Infant and children treated by flucloxacillin with 3rd generation cephalosporin.
Older teenager and adults treated by flucloxacillin with fusidic acid , if g-ve present add 3rd generation cephalosporin.
Antibiotics can changed on result of culture sensitivity test.
Antibiotics should be given intravenously for 4-7 days and then orally for another 3 weeks.
Surgical or arthroscopic drainage, join drained and washed and suction irrigation system left in joint.
Surgical drainage indicated
1- very young infants.
2- when hip involved.
3-When aspirated pus thick.
4- When patient not respond to conservative treatment.
Splintage in the optimum position is necessary
Complications of Acute suppurative arthritis
Infant have the highest incidence of complications, most of which affect the hip.
1- Osteomyelitis (proximal femur).
2- Subluxation and dislocation of hip and instability of knee.
3- damage to the cartilaginous physis or the epiphysis in the growing child.
4- Articular cartilage erosion (chondrolysis).
5- ankylosis of the joint.




















